Typhoon Haiyan claimed the lives of more than 10 thousand people
Categories: Asia
By Pictolic https://www.pictolic.com/article/typhoon-haiyan-claimed-the-lives-of-more-than-10-thousand-people.htmlAccording to forecasters, the last typhoon Haiyan became one of the strongest in the history of observations. The cyclone was assigned the fifth, highest category of danger.
The Reuters news agency, citing a statement from the Philippine police, reports that as a result of a super typhoon in the central Philippine province of Leyte alone, about 10 thousand people were killed. The UN team for the assessment and coordination of work on the elimination of the consequences of natural disasters, the consequences of the typhoon were compared with the most powerful and destructive tsunami of 2004. There are also reports of mass looting and looting in the affected areas of the Philippines.
(19 photos in total)


1. Typhoon Haiyan, which struck the Leyte province of the Philippine Islands on November 8, claimed the lives of at least 10 thousand people. As a result of the disaster, 4 million people have already been affected, Reuters reports. 500 thousand people were left without a roof over their heads.

2. Philippine President Beningo Aquino refused to give even an approximate number of deaths, noting that the authorities have incomplete data. The death toll may increase significantly as new information becomes available.

3. A band of destruction stretched across the central part of the Philippines for about 600 km. In cities, the cyclone destroyed up to 80% of buildings, villages were de-energized, roads were blocked by fallen trees.

4. The typhoon raised strong waves up to 5 meters high, they made sense of many buildings on the islands of Samar and Leyte.

5. The peak of destruction was recorded in the city of Tacloban, a UN team has already arrived here to assess and coordinate work on the elimination of the consequences of a natural disaster. Serious destruction is observed in the cities of Palo, Ormoc, Burauen.

6. According to forecasters, the last typhoon became one of the strongest in the entire history of observations. The cyclone was assigned the fifth, highest category of danger.

7. Wind gusts in the center of the cyclone reached 315-379 kilometers per hour. The previous record-breaking hurricane "Camilla", which hit the coast of the USA in 1969, had a speed of about 305 kilometers per hour.

8. The Haiyan left the Philippines and reached the north coast of Vietnam yesterday morning. The wind speed decreased to 185 kilometers per hour, but the authorities of the republic decided to play it safe and evacuated 500 thousand people from coastal areas. In the photo: Vietnamese collect sandbags, preparing for Typhoon Haiyan approaching their coast, November 9.

9. It should be noted that the day before yesterday, the Red Cross stated that, according to preliminary reports from its employees working at the disaster site, the number of victims of typhoon Haiyan only in the coastal city of Tacloban is about 1 thousand people — about as many bodies are floating on its streets. About 200 more people were killed in the province of Samar. Samar and Tacloban are the areas most affected by the typhoon.

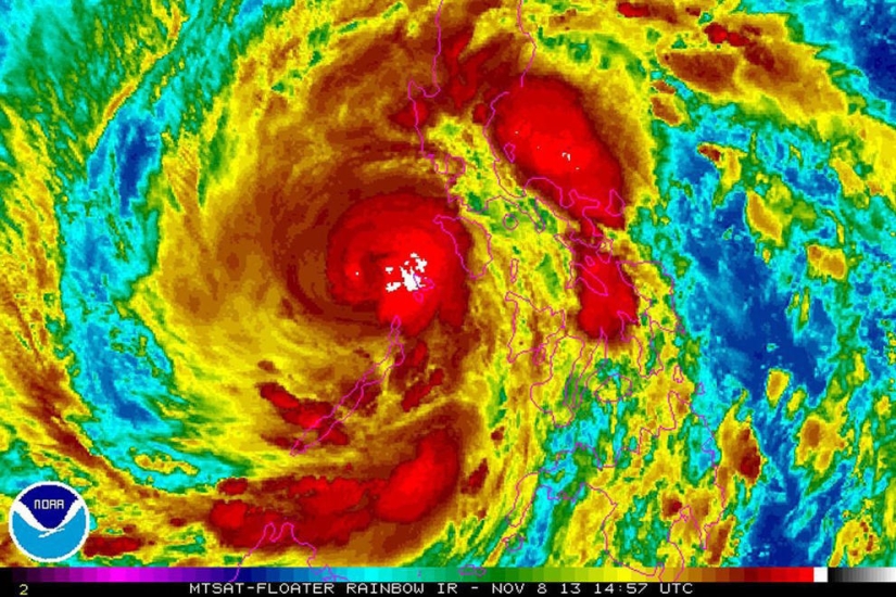
10. The formation of a powerful typhoon Haiyan can be seen in a satellite photo taken on Thursday.

11. As a result of the passage of the typhoon, numerous houses were destroyed, and the hurricane also provoked several mudslides and flooding. In addition, the hurricane destroyed power lines and telecommunications.

12. Satellite image from November 8th shows the impact of Typhoon Haiyan on the Philippines.

13. Typhoon Haiyan, which struck the central part of the Philippine archipelago on November 8, began with a tsunami: the wave height reached 6 meters.

14. According to the summary of the National Civil Defense Administration of the Philippines, according to the latest data, the natural disaster affected to one degree or another almost 4.5 million people, half a million lost their homes.

15. "According to the Ministry of Foreign Affairs and the Federal Tourism Agency, 110 to 150 Russians could be in the disaster zone in the Philippines. There is no information yet whether there are victims among them," RIA Novosti reports.

16. A shopkeeper points his gun to stop a crowd of people trying to storm his grocery in Tacloban City, Leyte Province, central Philippines on Sunday, November 10.

17. Most of the dead either drowned or were overwhelmed by the debris of collapsed buildings. Entire settlements were leveled to the ground. About a million local residents still remain in temporary shelters.

18. A woman seeks refuge with her children during the passage of the powerful typhoon Haiyan in Cebu

19. The US military will assist the Philippines in eliminating the consequences of the typhoon.
Keywords: Natural disaster | Typhoon | Cyclone
Post News ArticleRecent articles
Most of us think that the color of the eggshell does not play any role and it is possible not to pay attention. But it's not and ...
The more we rely on technology, the more potential power hackers gain over us. It doesn't matter if their goal is to help or cause ...
Related articles
Every year, the negative human impact on the climate is becoming more and more obvious. The catastrophic melting of glaciers, ...
What better to tell about the disappeared communities, if not the preserved ruins of the places in which they were located? Ghost ...
Powerful typhoon Ramassan, which has the third category of five in strength, is raging in the Philippines. As a result of the ...

Creating a good portrait is one of the most difficult tasks for any photographer. In order to make a really natural and memorable ...